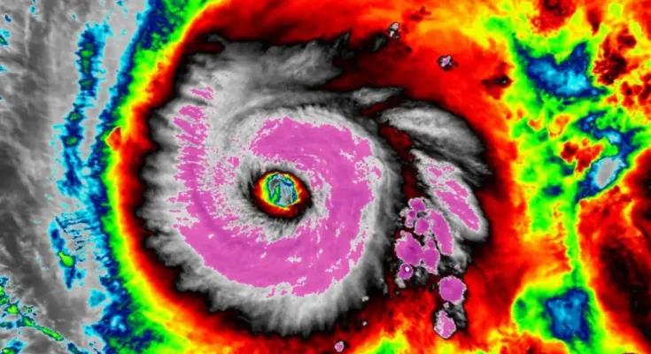
O furacão Melissa, classificado como categoria 5, está prestes a atingir a Jamaica, com ventos de até 282 km/h, e é considerado a “tempestade do século”. Segundo o Centro Nacional de Furacões (NHC) dos Estados Unidos, a tempestade já causou a morte de sete pessoas no Caribe, sendo três na Jamaica, três no Haiti e uma na República Dominicana.
As autoridades jamaicanas estão em alerta máximo, preparando mais de 800 abrigos para evacuar civis, devido à expectativa de inundações severas e deslizamentos de terra. O impacto do furacão já é sentido, com ventos registrados de 65 km/h e rajadas de até 83 km/h no Aeroporto Internacional Norman Manley, em Kingston.
Meteorologistas alertam que, apesar de flutuações na intensidade do furacão, Melissa deve tocar o solo com força devastadora. As chuvas e ventos fortes já começaram, e a previsão é que a tempestade cause graves danos à infraestrutura e isole comunidades inteiras.
A situação é crítica, e a população se prepara para enfrentar os efeitos catastróficos do furacão, que se deslocará em seguida em direção ao sudeste de Cuba e às Bahamas.


